Port Schedules
MARINER OF THE SEAS TO HOST ASIA'S FIRST COSPLAY FESTIVAL AT SEA
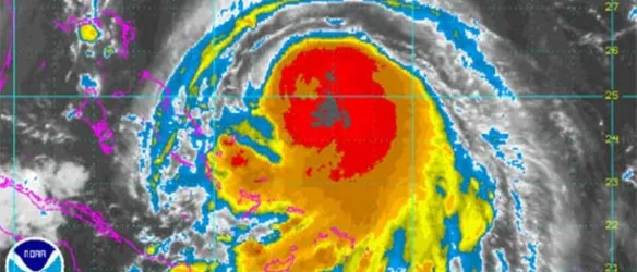
Cruise Ships Itineraries Affected by Hurricane Joaquin
MSC Cruises Raises 4 Million Euros for UNICEF
Royal Caribbean implements procedures to prevent sexual assault
Cruise Lines Cancel Greek Ports Affected by Refugee Crisis
Carnival Cruise Line appoints Ron L. Phillips as a Senior Vice President of Human Resources
Cruise Ship Passengers Arrested for Beating Cashier - Reason 10 Euro Phone Card
1,5 Pound Baby Born Early on Royal Caribbean Cruise Ship
Top 5 Cruise Lines for Beer Lovers